Kursy walut(PLN)    4.75 4.76 5.41 4.38
Znajdź na mapie
Typ Cena od Powierzchnia od
do do
Oferta nr 301-15321WYŁĄCZNOŚĆ
Rodzaj obiektuDziałki i grunty
Kategoriabudowlany
Typsprzedaż
Regionlubuskie
MiejscowośćZielona Góra
DzielnicaRacula
UlicaRacula
WalutaPLN
Cena1 160 750 PLN
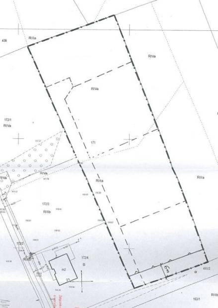
Pow.działki(m2)4643
Cena za m2 250 PLN
Powierzchnia4643
Materiałdowlona
Nr oferty301-15321
Data2026-03-04
Licencja zawodowa1717
AgentHozakowska Marta
Telefon+48665778799
Emailmarta.hozakowska@apartament.net.pl
Licencja agenta1717
Innewoda,gaz,prąd

Opis

Atrakcyjna działka budowlana w Raculi.
Oferujemy na sprzedaż działkę budowlaną o powierzchni  4643m2  z wydanymi warunkami zabudowy na 4 budynki mieszkalne.
Działka ta stanowi znakomitą propozycję dla inwestorów. Niezadrzewiona, płaska i prostokątna.
Warunki zabudowy przewidują 4 domy jednorodzinne wolnostojące wraz z infrastrukturą techniczną i drogą wewnętrzną. 
- Elewacja frontowa - 14m z tolerancją do 20%
- Wysokość budynku - do 8,5m
- Dach stromy dwuspadowy
- Do 30% dachu płaskiego
- Minimalna powierzchnia biologiczna - 40%
Media: woda, gaz oraz prąd dostępne na sąsiadujących działkach.
Lokalizacja: Działka położona w dzielnicy Racula. Niedaleko drogi S3. W bliskiej odległości znajduje się szkoła, przedszkole i sklepy. 
Firma APARTAMENT NIERUCHOMOŚCI pomaga w uzyskaniu kredytów bankowych, na zakup mieszkań, domów, działek itp.
Agent prowadzący:
Marta Hozakowska
TEL. 665 778 799
EMAIL: marta.hozakowska@apartament.net.pl
Apartament Nieruchomości świadczy usługi w zakresie sprzedaży i wynajmu  domów, mieszkań, działek na terenie Zielonej Góry i okolic od 1999 r. Sprawnie przeprowadzamy transakcje łączone, regulujemy stany prawne nieruchomości, organizujemy kredyty na zakup nieruchomości.
 
Zlecenie realizowane pod nadzorem licencjonowanego pośrednika nr licencji 1717.
Poniższa oferta ma charakter informacyjny, nie stanowi oferty handlowej w rozumieniu art. 66 (1) kodeksu cywilnego oraz innych właściwych przepisów prawnych.


Poleć ofertę znajomemu!

Twoje imię i nazwisko:
Twój adres e-mail:
Adres e-mail znajomego:
Treść:
  • Oferta
    Oferta
  • Oferta
    Oferta
    
  
  


APARTAMENT NIERUCHOMOSCI Hanna Krawczyk
(zobacz oferty biura)
(zobacz pracowników biura)
Kupiecka 45/4
65-058 Zielona Góra
Pokaż dane kontaktowe