Kursy walut(PLN)    4.75 4.76 5.41 4.38
Znajdź na mapie
Typ Cena od Powierzchnia od
do do
Oferta nr 188-13130WYŁĄCZNOŚĆ
Rodzaj obiektuDziałki i grunty
Kategoriabudowlany
Typsprzedaż
Regionmazowieckie
MiejscowośćKozłów
UlicaKozłów
WalutaPLN
Cena283 500 PLN
Pow.działki(m2)2700
Cena za m2 105 PLN
Powierzchnia2700
Front(m)54
Materiałdowlona
Nr oferty188-13130
Data2026-01-15
Licencja zawodowa5886
AgentParzelska Monika
Telefon502392837
Emailmonika@miklewscy.com.pl
Licencja agenta5886

Opis

DO SPRZEDANIA TEREN POD ZABUDOWĘ - Kozłów, gm. Jastrzębia
Na sprzedaż atrakcyjna nieruchomość gruntowa położona w spokojnej i zielonej miejscowości Kozłów, w gminie Jastrzębia, z bardzo dobrym dojazdem do Radomia i głównych tras komunikacyjnych. 
Dla działek zostały:
wydane Warunki Zabudowy na budowę dwóch budynków mieszkalnych jednorodzinnych wolnostojących,
wydane postanowienie o podziale działek 687 i 688 na mniejsze.
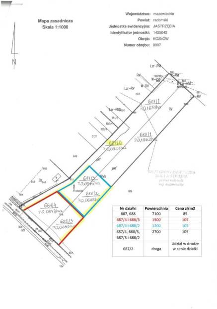
Aktualne możliwości zakupu:całość - 2 działki o łącznej powierzchni 7 100 m za cenę 85 zł/m2,
po podziale:
4 działki o łącznej powierzchni 2 700 m za cenę 105 zł/m2,
2 działki o powierzchni ok. 1 500 m (dz. nr 687/4 i 688/3) za cenę 105 zł/m2,
2 działki o powierzchni ok. 1 200 m (dz. nr 687/3 i 688/2) za cenę 105 zł/m2.
Idealna propozycja zarówno dla inwestora, jak i osób prywatnych planujących budowę domu.
Lokalizacjaok. 6 km od ronda Kozienickiego w Radomiu,
szybki dojazd w kierunku Zwolenia, Krakowa, Lublina i Kozienic,
zalew w Siczkach - ok. 15 minut,
przystanek autobusowy - ok. 1,5 km.
Nieruchomośćdojazd drogą publiczną asfaltową,
spokojna okolica z zabudową jednorodzinną,
wymiary działek dostępne na mapie poglądowej.
Mediawoda - przy działce (ok. 10 m od frontu),
prąd - na działce,
kanalizacja - w drodze po drugiej stronie asfaltu (ok. 5 m),
telekomunikacja - sieć przy froncie działki, w miejscowości dostępny światłowód.
Atuty ofertymożliwość zakupu całości lub mniejszych działek,
wydane Warunki Zabudowy,
pełne uzbrojenie w media,
cicha i zielona okolica,
bliskość Radomia i świetna komunikacja,
idealne miejsce pod zabudowę jednorodzinną.
Zapraszamy do kontaktu w celu uzyskania szczegółowych informacji oraz umówienia prezentacji nieruchomości.
Kupujący nie płaci prowizji!
Ogłoszenie ma charakter informacyjny i nie stanowi oferty handlowej w rozumieniu art. 66 1 Kodeksu Cywilnego.


Mapa

Poleć ofertę znajomemu!

Twoje imię i nazwisko:
Twój adres e-mail:
Adres e-mail znajomego:
Treść:
  • Oferta
    Oferta
  • Oferta
    Oferta
  • Oferta
    Oferta
  • Oferta
    Oferta
  • Oferta
    Oferta
  • Oferta
    Oferta
  • Oferta
    Oferta
    
  
  


Bracia Miklewscy s.c. Miklewska Jolanta Miklewski Ludwik
(zobacz oferty biura)
(zobacz pracowników biura)
ul. Sienkiewicza 3
26-600 Radom
Pokaż dane kontaktowe